Description
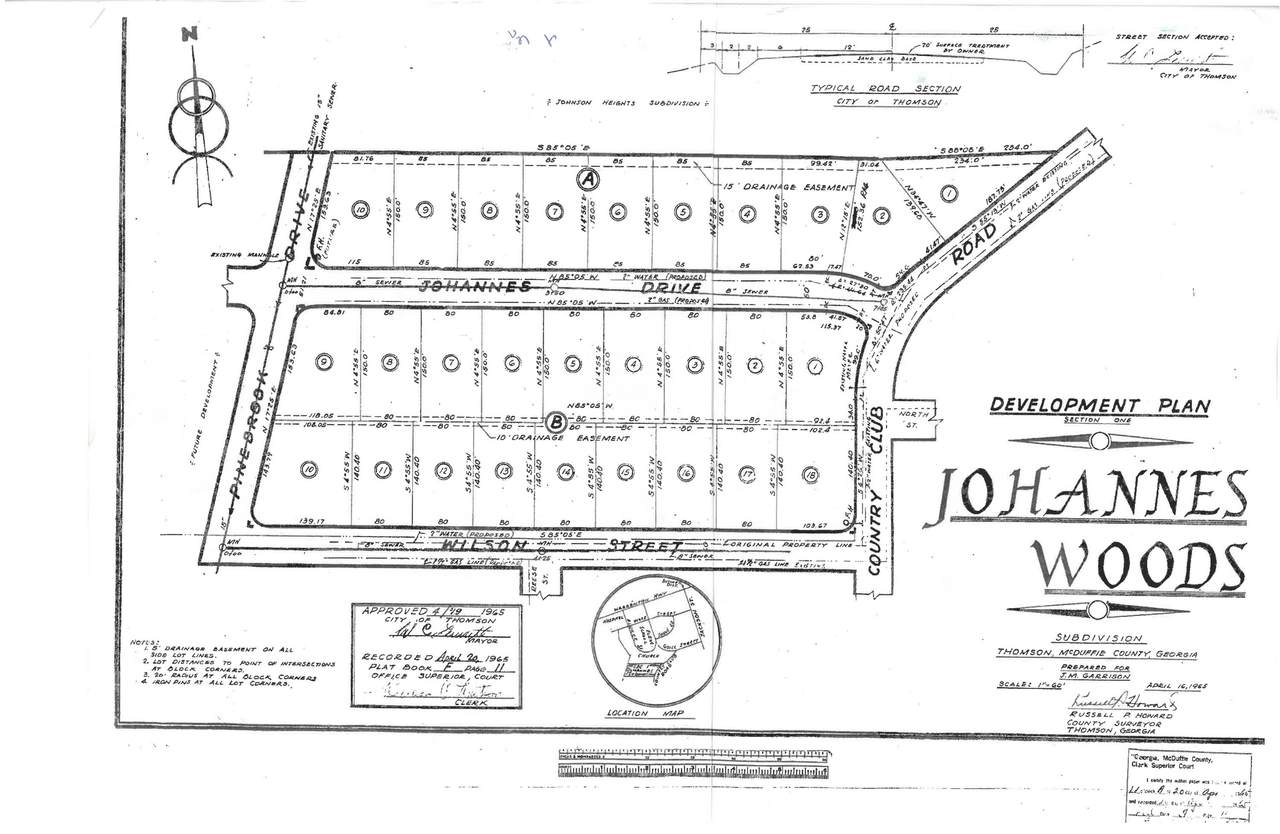
Discover a prime subdivision development opportunity in Thomson, GA with this approved subdivision plan spanning 4 parcels with approximately 12.01 acres. This site features an initial 8-acre layout with 27 ready-to-build lots and an additional 4 acres for future expansion or a phase two development. Key infrastructure is already in place, including paved roads on Johannes Drive and S Wilson Street. You will find sewer, water meters, and lot pins, making it prepped for construction. Whether you're an established local construction firm or an emerging developer, this property presents an ideal investment to bring new homes to a growing community in Thomson, GA. Located close to schools and town, these 4 ready-to-develop parcels are perfect for launching your next project in Thomson! This site includes an initial 8-acre layout with 27 ready-to-build lots, and an additional 4 acres reserved for potential future expansion or a second development phase, allowing for a scalable approach to meet market demand. Key infrastructure enhancements are already in place to support immediate development, including paved access on Johannes Drive and S Wilson Street, sewer, water meters, and defined lot pins, ensuring a streamlined start for construction. Perfectly positioned near local schools and close to the town center, these 4 parcels offer a compelling investment in a growing community. This property is well-suited for both established local construction firms and emerging developers looking to bring new housing to the thriving Thomson area.
-
0BEDS
-
12.01ACRES
-
0BATHS
-
01/2 BATHS
School Ratings & Info
Description
Discover a prime subdivision development opportunity in Thomson, GA with this approved subdivision plan spanning 4 parcels with approximately 12.01 acres. This site features an initial 8-acre layout with 27 ready-to-build lots and an additional 4 acres for future expansion or a phase two development. Key infrastructure is already in place, including paved roads on Johannes Drive and S Wilson Street. You will find sewer, water meters, and lot pins, making it prepped for construction. Whether you're an established local construction firm or an emerging developer, this property presents an ideal investment to bring new homes to a growing community in Thomson, GA. Located close to schools and town, these 4 ready-to-develop parcels are perfect for launching your next project in Thomson! This site includes an initial 8-acre layout with 27 ready-to-build lots, and an additional 4 acres reserved for potential future expansion or a second development phase, allowing for a scalable approach to meet market demand. Key infrastructure enhancements are already in place to support immediate development, including paved access on Johannes Drive and S Wilson Street, sewer, water meters, and defined lot pins, ensuring a streamlined start for construction. Perfectly positioned near local schools and close to the town center, these 4 parcels offer a compelling investment in a growing community. This property is well-suited for both established local construction firms and emerging developers looking to bring new housing to the thriving Thomson area.
Related Properties
IDX information © 2025 Greater Augusta Association of Realtors. IDX information is provided exclusively for consumers' personal, non-commercial use and may not be used for any purpose other than to identify prospective properties consumers may be interested in purchasing. Information is believed to be accurate but not guaranteed by the MLS or Southeastern Residential. Data last updated 2025-11-07T23:55:47.86.
